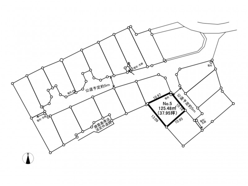
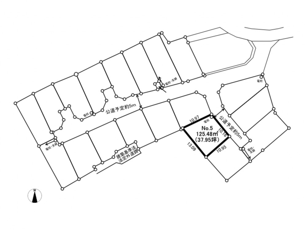
土地 相模原市中央区上溝No.5
建築条件付売地☆彡
コンビニ、ドラッグストア等が徒歩圏内で生活便利な環境です☆彡
< ライフインフォメーション >
・オーケー 下九沢店:徒歩約12分(約945m)
・ファミリーマート ALFALINK相模原店:徒歩約4分(約294m)
・ドラッグセイムス 作の口店:徒歩約5分(約354m)
・てるて幼稚園:徒歩約6分(約464m)
・幼保連携型認定こども園むくどりこども園:徒歩約7分(約530m)
・相模原市立作の口小学校 :徒歩約14分(約1120m)
・相模原市立上溝中学校:徒歩約30分(約2392m)
・上溝川辺公園:徒歩約8分(約594m)
支払例
※地方銀行/借入金1,390万円、返済期間40年、金利1.000%(変動金利(※諸費用外))の場合
※審査により金利は変わる可能性があります。
物件概要
- 交通
-
JR横浜線 橋本駅 バス21分乗車 バス停作の口 まで 徒歩5〜6分
JR相模線 橋本駅 バス23分乗車 バス停葛輪 まで 徒歩9〜10分
JR相模線 上溝駅 バス8分乗車 バス停作の口 まで 徒歩5〜6分
- 土地面積
- 125.48㎡ (37.95坪)
- 建ぺい率
- 60%
- 容積率
- 200%
- 土地権利
- 所有権
- セットバック
- 無し
- 小学校区
- 作の口 (1120m)
- 中学校区
- 上溝 (2392m)
- 私道負担
- 建築条件
- あり
- 地目
- 畑
- 現況
- 引渡時期
- 相談
- 上水道
- 公共
- 下水道
- 公共
- ガス
- 都市ガス
- 都市計画
- 市街化区域
- 用途地域
- 準工業
- 設備・条件
- 備考
-
・開発許可番号:相模原市政令(開調)第R07-1026号
・農地法届出要 - 取引態様
- 仲介
